◇オーナー様の釣果情報◇2014/5/8

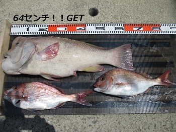
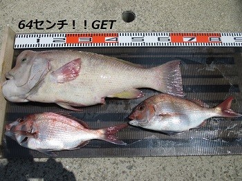
赤穂店オーナー様がコブダイ64センチをGET

20140508-154601.JPG

20140508-154634.JPG

おめでとうございます

この前は釣果を頂きありがとうございます。

神戸ハーバーマリーナ オーナー様が48cmの鯛&bigサイズの鯵をGET

20140508-154726.JPG

おめでとうございます

2組のオーナー様、また大物GETに向けて頑張ってください

釣果お待ちしておりますよ

中古艇・中古ボート販売情報検索サイト キャプテンナビ